New Search Family, Subfamily and Tribe List

SubFamily Lamiinae

Tribe Saperdini
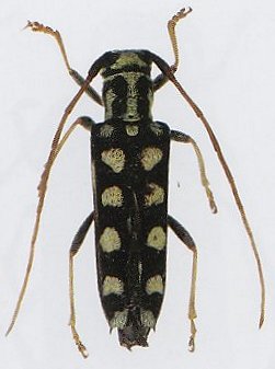
Glenea licenti Pic 1939

Sex: f
Photographer: Meiying Lin
Collection Location: Qinling Mountains, China
73373

130425