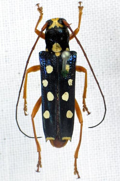
_Newman_BMNH_Manilla_Luzon_Philippines_LGB.jpg)
Specimen Type: holotype Institution: BMNH British Museum Natural History, London, UK Photographer: Larry G. Bezark Collection Location: Manila, Luzon, Philippines 47798
|
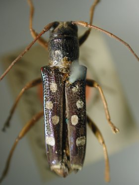
_Newman_BMNH_Manilla_Luzon_Philippines_LGB.jpg)
Specimen Type: holotype Institution: BMNH British Museum Natural History, London, UK Photographer: Larry G. Bezark Collection Location: Manila, Luzon, Philippines 47799
|

Photographer: Gyula Vida, Cerambycoidea Forum Collection Location: Mindoro, Philippines 49758
|

Photographer: Jim Cope Collection Location: Philippines 49759
|
_lepida_Newman_Philippines.jpg)
Photographer: Estan Cabigas Collection Location: Philippines 46116
|

Photographer: Meiying Lin 67500
|

Institution: LIPI Lembaga Ilmu Pengetahuan, Bogor, Indonesia Photographer: Larry G. Bezark Determiner: Schwarzer Collection Location: Sangi en Talaud, Salibabae, Philippines 43671
|

Institution: LIPI Lembaga Ilmu Pengetahuan, Bogor, Indonesia Photographer: Larry G. Bezark Determiner: Schwarzer Collection Location: Sangi en Talaud, Salibabae, Philippines 43672
|

Institution: LIPI Lembaga Ilmu Pengetahuan, Bogor, Indonesia Photographer: Larry G. Bezark Determiner: Schwarzer Collection Location: Sangi en Talaud, Salibabae, Philippines 43673
|
|