New Search Family, Subfamily and Tribe List

SubFamily Lamiinae

Tribe Saperdini
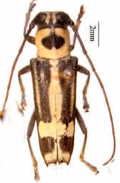
Glenea caninia Heller 1926

Specimen Type: lectotype
Sex: m
Photographer: Meiying Lin
Collection Location: Kanara, Karwar, India
48663


Glenea travancorana Heller
Specimen Type: holotype
Photographer: Meiying Lin
Collection Location: Kanara, Karwar, India
48664


Sex: f
Photographer: Meiying Lin
Collection Location: India
48665

130425