New Search Family, Subfamily and Tribe List

SubFamily Lamiinae

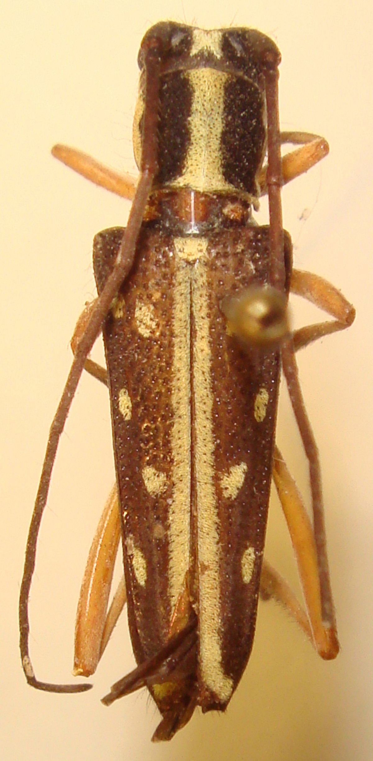
Tribe Saperdini
Glenea flavosignata Breuning 1956

Specimen Type: holotype
Sex: f
Institution: NHMB Naturhistorisches Museum, Basel, Switzerland
Photographer: Meiying Lin
Collection Location: Tonkin, Vietnam
67437


Photographer: Meiying Lin
42727

130425