New Search Family, Subfamily and Tribe List

SubFamily Lamiinae

Tribe Saperdini
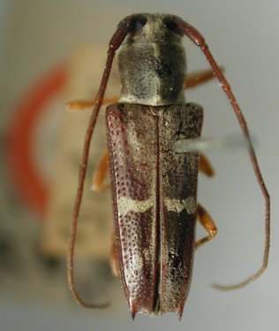
Glenea dohertyi Gahan 1907

Specimen Type: Syntype
Institution: BMNH British Museum Natural History, London, UK
Photographer: Larry G. Bezark
Collection Location: Bengkulu, Sunda Islands, Indonesia
47730


Photographer: Jim Cope
Collection Location: Bua Bua, Enggano Island
48712

130425