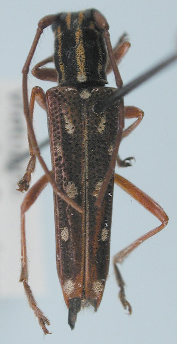
_Breuning_Laos_Cope.jpg)
Specimen Type: holotype Institution: BPBM Bernice P. Bishop Museum, Honolulu, Hawaii, USA Photographer: Jim Cope Collection Location: Ban Van Heua, Laos 48710
|
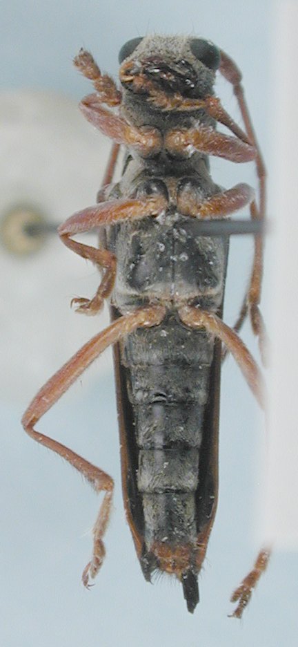
_Breuning_BPBM_Nobuo_Ohbay (2).jpg)
Specimen Type: holotype Sex: m Institution: BPBM Bernice P. Bishop Museum, Honolulu, Hawaii, USA Photographer: Nobuo Ohbayashi Collection Location: Ban Van Heua, Laos 44582
|

Institution: LGBC Larry G. Bezark Collection, Sacramento, California, USA Photographer: Larry G. Bezark Determiner: Xavier Gouverneur, Cerambycoidea Forum Collection Location: Yen Bai Province, Vietnam 89415
|

Institution: LGBC Larry G. Bezark Collection, Sacramento, California, USA Photographer: Larry G. Bezark Determiner: Xavier Gouverneur, Cerambycoidea Forum Collection Location: Yen Bai Province, Vietnam 89416
|

Photographer: Jim Cope Collection Location: Laos 48711
|
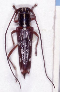
_diversilineata_intermedia_Breuning_CAS.jpg)
Institution: CAS California Academy of Sciences, San Francisco, CA, USA Photographer: Larry G. Bezark 41791
|
|