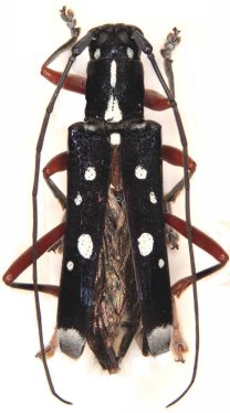
_Thomson_MNHN_India_Assam.jpg)
Specimen Type: holotype Sex: f Institution: MNHN Museum of Natural History Paris, France Photographer: Meiying Lin Collection Location: Assam, India 41784
|
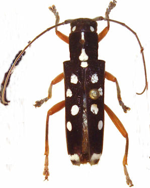
_Gahan_NHML_Burma_(Myanmar)_Moulmein_now_diana.jpg)
Glenea bimaculiceps Gahan Specimen Type: holotype Sex: f Institution: BMNH British Museum Natural History, London, UK Photographer: Meiying Lin Collection Location: Moulmein, Myanmar 48642
|
_Pic_MNHN_Cochinchina_now_diana.jpg)
Glenea theresae Pic Specimen Type: holotype Sex: m Institution: MNHN Museum of Natural History Paris, France Photographer: Meiying Lin Collection Location: Cochinchina, Vietnam 49966
|
_diana_theresae_Pic_CAS.jpg)
Glenea diana theresae Pic Institution: CAS California Academy of Sciences, San Francisco, CA, USA Photographer: Larry G. Bezark 41783
|

Photographer: Meiying Lin 42722
|
_Wiang_Pa_Pao_Thailand_LGB.jpg)
Photographer: Larry G. Bezark Collection Location: Wiang Pa Pao, Thailand 41785
|

Glenea diana theresae Pic Institution: BPBM Bernice P. Bishop Museum, Honolulu, Hawaii, USA Photographer: Jim Cope Collection Location: Laos 41786
|

Photographer: Robert Vigneault, Cerambycoidea Forum 41787
|