_Pascoe_BMNH_Macassar_S_Sulawesi_LGB.jpg)
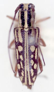
Specimen Type: holotype Institution: BMNH British Museum Natural History, London, UK Photographer: Larry G. Bezark Collection Location: Macassar, S Sulawesi 47718
|
_Pascoe_BMNH_Macassar_S_Sulawesi_LGB.jpg)
Specimen Type: holotype Institution: BMNH British Museum Natural History, London, UK Photographer: Larry G. Bezark Collection Location: Macassar, S Sulawesi 47719
|