New Search Family, Subfamily and Tribe List

SubFamily Lamiinae

Tribe Saperdini
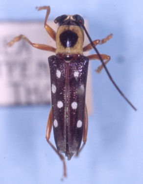
Glenea cyanipennis cyanipennis Thomson 1858

Specimen Type: syntype
Institution: MNHN Museum of Natural History Paris, France
Photographer: Meiying Lin
Collection Location: Aru Island, Indonesia
67407


Specimen Type: syntype
Institution: MNHN Museum of Natural History Paris, France
Photographer: Meiying Lin
Collection Location: Aru Island, Indonesia
67408


Specimen Type: compared with type
Institution: BMNH British Museum Natural History, London, UK
Photographer: Larry G. Bezark
Collection Location: Aru Island, Indonesia
47705


Institution: BPBM Bernice P. Bishop Museum, Honolulu, Hawaii, USA
Photographer: Jim Cope
Collection Location: Amboin, Ceram
41659

130425