New Search Family, Subfamily and Tribe List

SubFamily Lamiinae

Tribe Saperdini
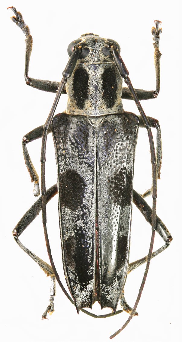
Glenea cinerea Thomson 1865

Specimen Type: holotype
Institution: MNHN Museum of Natural History Paris, France
Photographer: Meiying Lin
Collection Location: Manilla, Luzon, Philippines
67390


Sex: m
Institution: Vives Collection
Photographer: Eduard Vives
Collection Location: Puerto Galera, Mindoro, Philippines
78354


Institution: BMNH British Museum Natural History, London, UK
Photographer: Larry G. Bezark
47670


Photographer: Jim Cope
Collection Location: Kuraru, Philippines
48678

130425