_Aurivillius_Palawan_Philippines.jpg)
Specimen Type: holotype Institution: NHRS Naturhistoriska Riksmuseet, Stockholm, Sweden Collection Location: Palawan, Philippines 48749
|
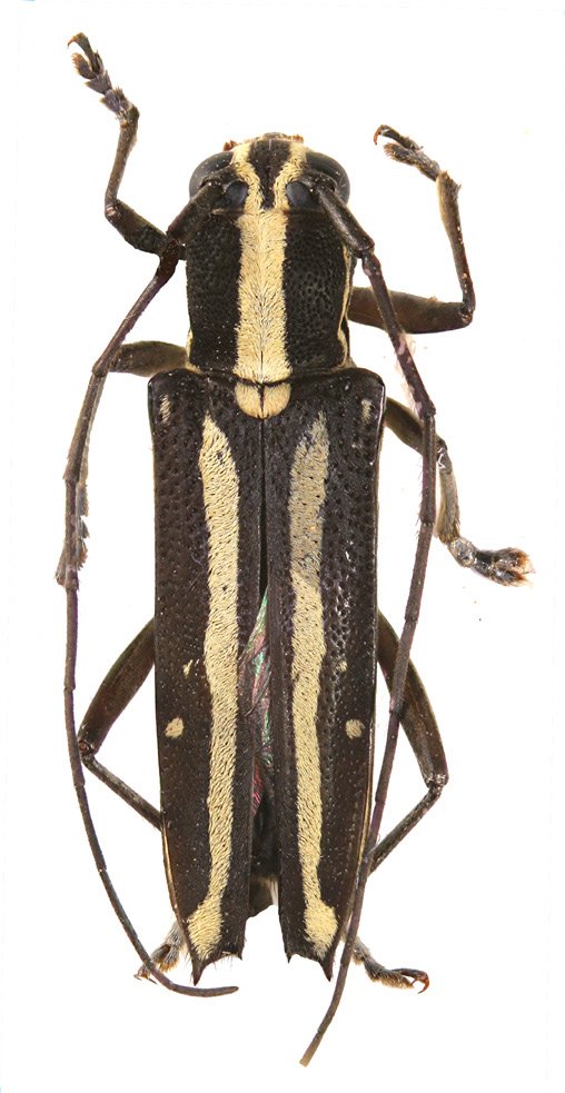
 Aurivillius NHRS Palawan, Philippines EV.jpg)
Specimen Type: holotype Sex: m Institution: NHRS Naturhistoriska Riksmuseet, Stockholm, Sweden Photographer: Eduard Vives Collection Location: Palawan, Philippines 75938
|
 Aurivillius EVC Roxas, Palawan, Philippines.jpg)
Sex: f Institution: Vives Collection Photographer: Eduard Vives Collection Location: Roxas, Palawan, Philippines 75939
|

Photographer: Xavier Gouverneur, Cerambycoidea Forum Collection Location: North Palawan, Philippines 48750
|
|