_Chev_BMNH_Old_Calabar_Nigeria_LGB.jpg)
Glenea apicalis Aurivillius Specimen Type: holotype Institution: BMNH British Museum Natural History, London, UK Photographer: Larry G. Bezark Collection Location: Old Calabar, Nigeria 47609
|
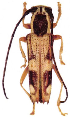
_Chev_BMNH_Old_Calabar_Nigeria_LGB.jpg)
Glenea apicalis Aurivillius Specimen Type: holotype Institution: BMNH British Museum Natural History, London, UK Photographer: Larry G. Bezark Collection Location: Old Calabar, Nigeria 47610
|

Institution: BMNH British Museum Natural History, London, UK Photographer: Larry G. Bezark Determiner: Adlbauer Collection Location: Hillwood, Ikelenge, Zambia 47611
|

Institution: BMNH British Museum Natural History, London, UK Photographer: Larry G. Bezark Determiner: Adlbauer Collection Location: Hillwood, Ikelenge, Zambia 47612
|

Determiner: Les Cahiers Magellanes Collection Location: Africa 48607
|

Institution: MNHN Museum of Natural History Paris, France Photographer: Andreas Weigel 67680
|
|