_Breuning_BPBM_Nobuo_Ohbay.jpg)
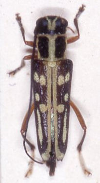
Specimen Type: holotype Sex: f Institution: BPBM Bernice P. Bishop Museum, Honolulu, Hawaii, USA Photographer: Nobuo Ohbayashi Collection Location: Savannakhet, Laos 44575
|

Specimen Type: holotype Sex: f Institution: BPBM Bernice P. Bishop Museum, Honolulu, Hawaii, USA Photographer: Jim Cope Collection Location: Savannakhet, Laos 41740
|

Specimen Type: holotype Institution: BPBM Bernice P. Bishop Museum, Honolulu, Hawaii, USA Determiner: Bull Société Royale des Sci. Naturelles du Laos Collection Location: Savannakhet, Laos 41738
|

Institution: BMNH British Museum Natural History, London, UK Photographer: Larry G. Bezark Determiner: Rondon Collection Collection Location: Phon Tiou, Laos 47584
|
_aeolis_laosicus_Breuning_CAS.jpg)
Institution: CAS California Academy of Sciences, San Francisco, CA, USA Photographer: Larry G. Bezark 41737
|

Institution: LGBC Larry G. Bezark Collection, Sacramento, California, USA Photographer: Larry G. Bezark 41739
|
|