New Search Family, Subfamily and Tribe List

SubFamily Lamiinae

Tribe Saperdini
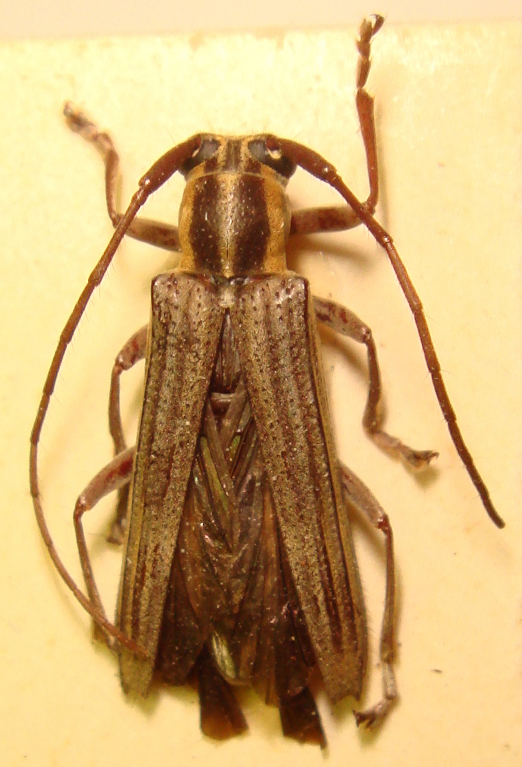
Glenea elongatipennis Breuning 1952

Institution: MNHN Museum of Natural History Paris, France
Photographer: Meiying Lin
67207

130425