_Gressitt_China_USNM.jpg)
Specimen Type: holotype Sex: m Institution: NMNH United States National Museum, Washington, DC, USA Photographer: Dan Heffern Collection Location: Hainan Island, China 48731
|
_flavorubra_(a)_Gressitt_CAS.jpg)
Specimen Type: allotype Sex: f Institution: CAS California Academy of Sciences, San Francisco, CA, USA Photographer: Larry G. Bezark 48566
|
_invitticollis_(h-f)_Breuning_MNHN_Vietnam_Indochine_Annam_Bhao_Ht_Donnal_=_flavorubra.jpg)
Glenea invitticollis Breuning Specimen Type: holotype Sex: f Institution: MNHN Museum of Natural History Paris, France Photographer: Meiying Lin Collection Location: Bhao, Annam, Vietnam 48551
|
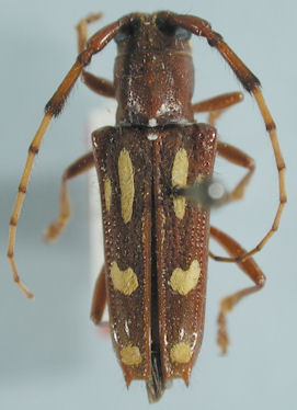
_Gressitt_China_Hainan.jpg)
Specimen Type: paratype Sex: f Photographer: Meiying Lin Collection Location: Hainan Island, China 48732
|
_Gressitt_China_Hainan.jpg)
Sex: m Photographer: Meiying Lin Collection Location: Hainan Island, China 48733
|

Photographer: Jim Cope Collection Location: Hainan Island, China 48734
|
|