_Pu_IZAS.jpg)
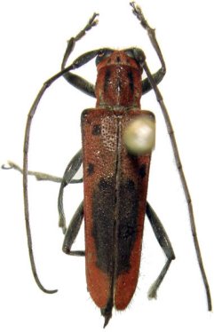
Specimen Type: holotype Sex: m Institution: IZAS Zoological Institute, Chinese Academy of Sciences, Beijing, China Photographer: Meiying Lin Collection Location: Shennongjia [31°26'N, 110°16'E], Hubei, China 42690
|
_Pu_IZAS.jpg)
Specimen Type: allotype Sex: f Institution: IZAS Zoological Institute, Chinese Academy of Sciences, Beijing, China Photographer: Meiying Lin Collection Location: Shennongjia [31°26'N, 110°16'E], Hubei, China 42689
|