_Gressitt_Rond_BPBM_Nobuo_Ohbay.jpg)
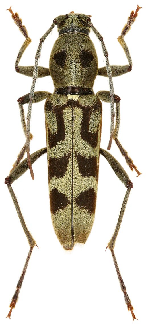
Rhaphuma elongata Gressitt & Rondon Specimen Type: holotype Sex: m Institution: BPBM Bernice P. Bishop Museum, Honolulu, Hawaii, USA Photographer: Nobuo Ohbayashi Collection Location: Phou Khao Khoay, Vientiane Province, Laos 45360
|
_Hua_Bolikhamsai_Province_Laos_Viktora_pic.jpg)
Sex: f Institution: Viktora Collection Photographer: Petr Viktora Collection Location: Bolikhamsai Province, Laos 75079
|