New Search Family, Subfamily and Tribe List

SubFamily Cerambycinae

Tribe Clytini
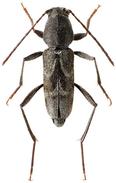
Pseudosphegesthes bubeniki Rapuzzi & Jeniš 2015

Photographer: Ivo Jeniš
Collection Location: Peloponnesia, Greece
79910

130425