New Search Family, Subfamily and Tribe List

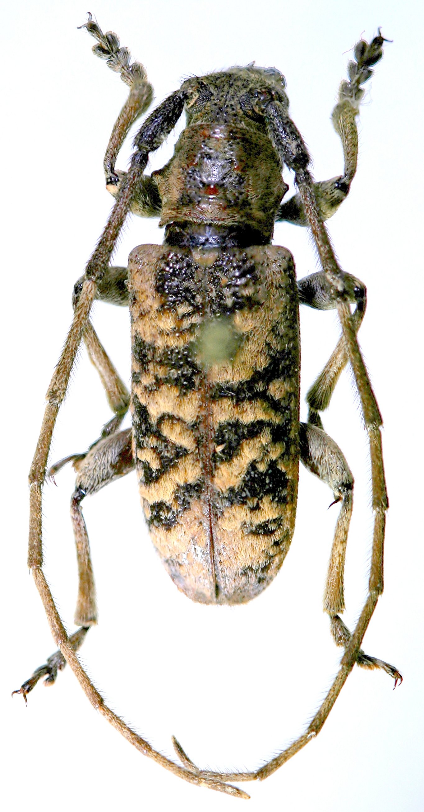
SubFamily Lamiinae

Tribe Desmiphorini
Estoloides medvegyi Audureau 2020

Specimen Type: holotype
Institution: Audureau Collection
Photographer: Alain Audureau
Collection Location: Kilambe, 60 km from Jinotega City, Jinotega District, Nicaragua
73924

130425