_Aurivillius_now_ocellata.jpg)
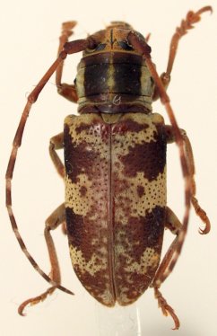
Bangalaia callosa Aurivillius Specimen Type: syntype Institution: NHRS Naturhistoriska Riksmuseet, Stockholm, Sweden Determiner: Arkiv för Zoologi, Uppsala Collection Location: Cameroon 45224
|

Photographer: Rob Vigneault Collection Location: Cameroon 45228
|

Photographer: Gerard Chemin, Cerambycoidea Forum Collection Location: Ebogo, Cameroon 45229
|

Bangalaia soror Jordan Photographer: Carlo Vitali, Cerambycoidea Forum Collection Location: Cameroon 45230
|
_(Lameere)_now_ocellata_EJ.jpg)
Bangalaia soror Jordan Sex: f Photographer: Eric Jiroux 74967
|
_Lameere_Cameroon_JP_Roguet_photo.jpg)
Sex: f Photographer: JP Roguet, https://lamiinae.org Collection Location: Cameroon 32678
|

Determiner: Les Cahiers Magellanes Collection Location: RP Congo 32679
|