
Photographer: Jelinek & Hoskovec Collection Location: vic Dombegyhaz, Bekes County, SE Hungary 81821
|

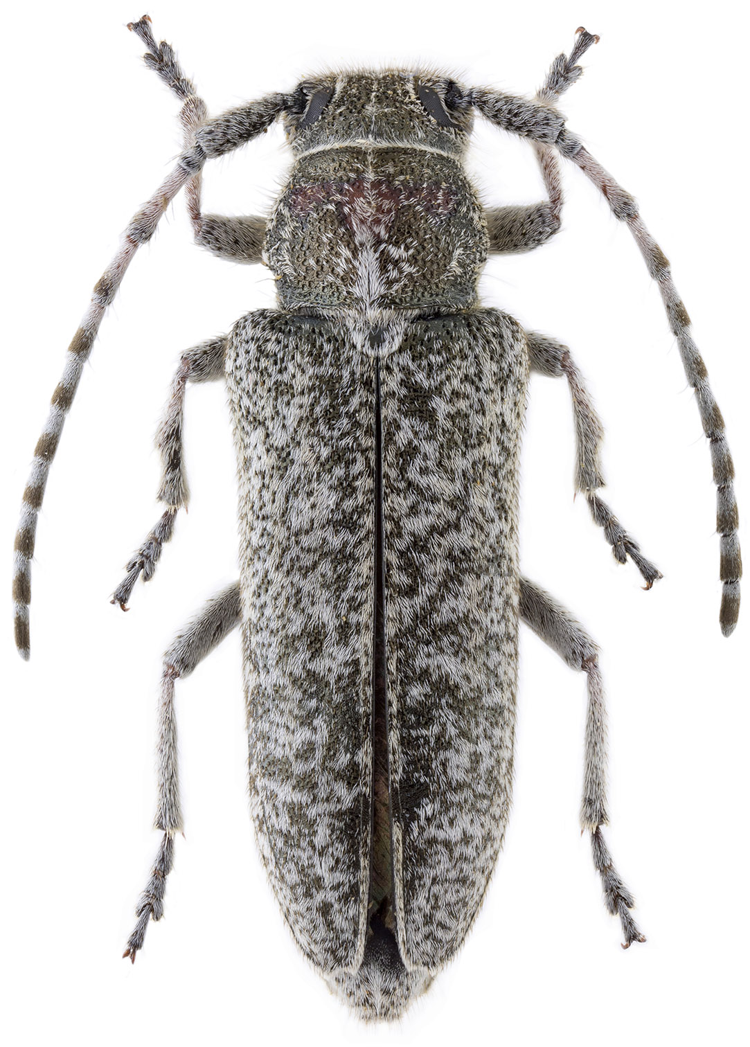
Sex: m Photographer: Zoran Gavrilovic Collection Location: Vrsac, S Banat, Voivodina, Serbia 78658
|

Sex: f Photographer: Zoran Gavrilovic Collection Location: Vrsac, S Banat, Voivodina, Serbia 78659
|
|