
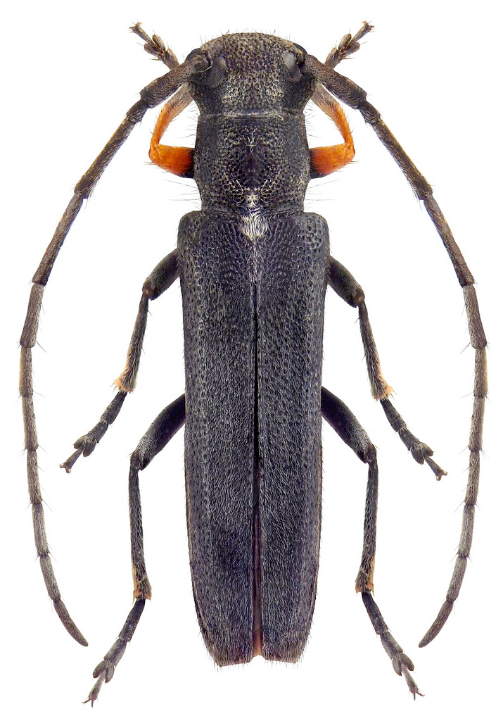
Photographer: Boza & Sedlacek Collection Location: Odry, Moravia, Czech Republic 75970
|
_Dergachevsky_district_Kharkov_reg_NE_Ukraine_Slutsky.jpg)
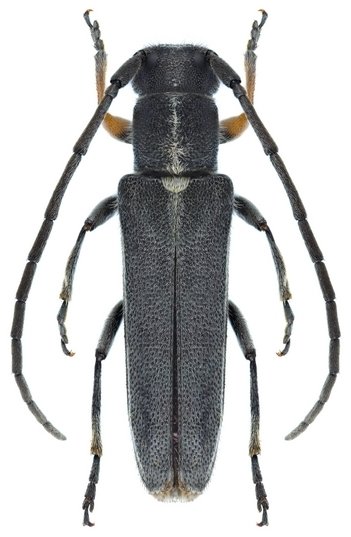
Photographer: Aleksandr Slutsky Collection Location: Dergachevsky district, Kharkov region, NE Ukraine 75400
|

Institution: LGBC Larry G. Bezark Collection, Sacramento, California, USA Photographer: Larry G. Bezark 56831
|

Photographer: Udo Schmidt Collection Location: Glashutte, Kreuth, Miesbach District, Upper Bavaria, Germany 81780
|
_cylindrica_(Linn)_Irkutsk_Tayshet_Berlov.jpg)
Photographer: O. E. Berlov Collection Location: Tayshet, Irkutsk 56829
|
_cylindrica_(lateral)_(Linn)_Irkutsk_Tayshet_Berlov.jpg)
Photographer: O. E. Berlov Collection Location: Tayshet, Irkutsk 56830
|
|