
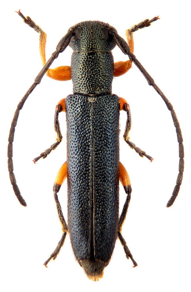
Institution: LGBC Larry G. Bezark Collection, Sacramento, California, USA Photographer: Larry G. Bezark Determiner: Francesco Vitali, Cerambycoidea Forum Collection Location: Selcuk, Turkey 50427
|

Institution: LGBC Larry G. Bezark Collection, Sacramento, California, USA Photographer: Larry G. Bezark Determiner: Francesco Vitali, Cerambycoidea Forum Collection Location: Selcuk, Turkey 50428
|

Institution: LGBC Larry G. Bezark Collection, Sacramento, California, USA Photographer: Larry G. Bezark Collection Location: Saladin, Castel area, NW Syria 56891
|

Photographer: Denis Kasatkin Collection Location: Buglan Gecidi, Mus Province, E Turkey 81779
|
|