_Sama_Cyprus.jpg)
Helladia millefolii alziari Sama Specimen Type: holotype Sex: m Institution: Sama Collection Determiner: Lambillionea Collection Location: Argaka, Paphos, Cyprus 50809
|
_Nahariya_Israel_Slutsky.jpg)
Photographer: Aleksandr Slutsky Collection Location: Nahariya, Israel 75405
|
_Nahariya_Israel_Slutsky.jpg)
Photographer: Aleksandr Slutsky Collection Location: Nahariya, Israel 75406
|

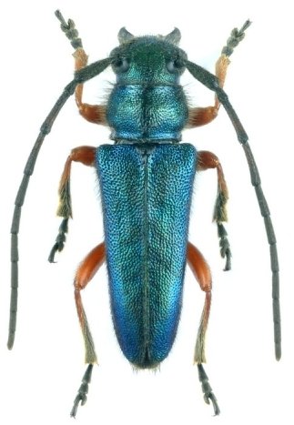
Sex: f Photographer: Maxim E. Smirnov Collection Location: Buglan Pass, 40 km NNW Mus, Mus Province, E Turkey 81806
|

Institution: LGBC Larry G. Bezark Collection, Sacramento, California, USA Photographer: Larry G. Bezark Collection Location: Bahce, Nur Dagi, Turkey 49492
|
|