New Search Family, Subfamily and Tribe List

SubFamily Lamiinae

Tribe Saperdini
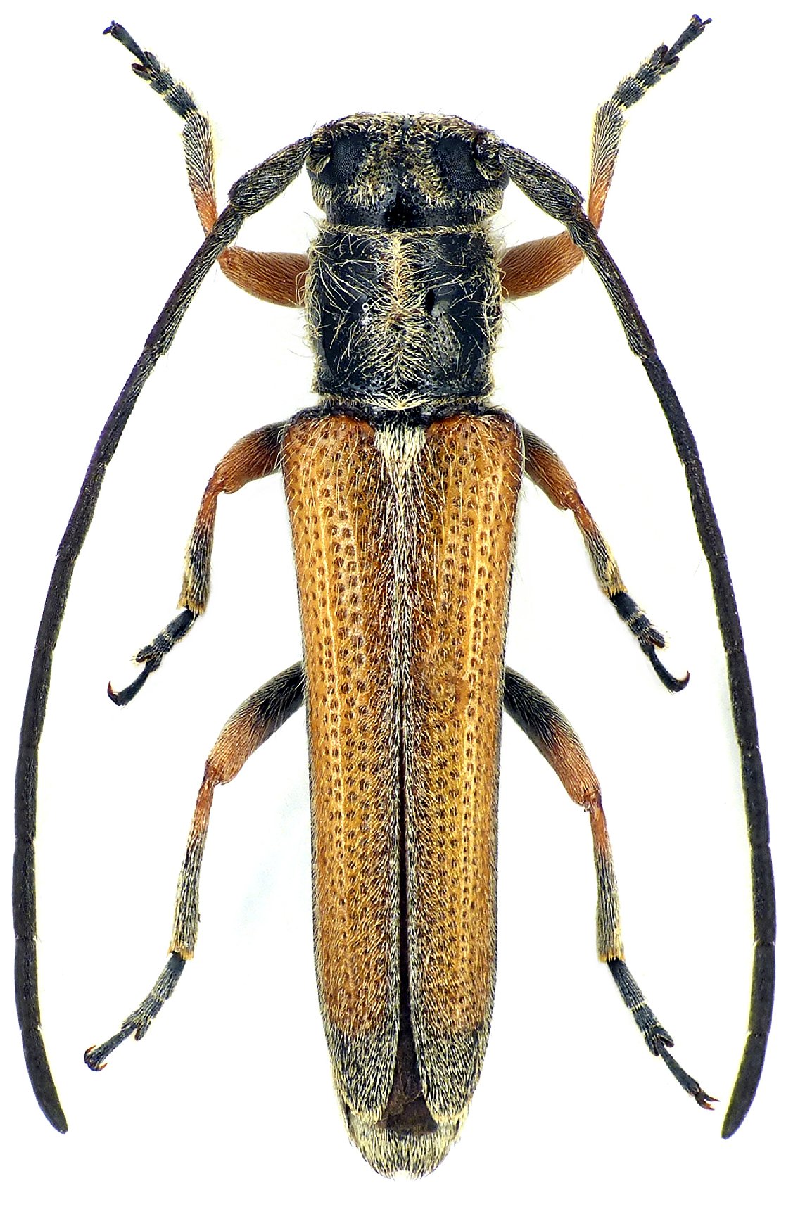
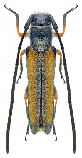
Phytoecia vittipennis pravei Plavilstshikov 1926

Photographer: Navratil & Hoskovec
Collection Location: vic Yerevan, Armenia
81830


Photographer: Aleksandr Slutsky
Collection Location: Khosh Aylaq, Elburz Mountains, Golestan Province, NE Iran
75424

130425