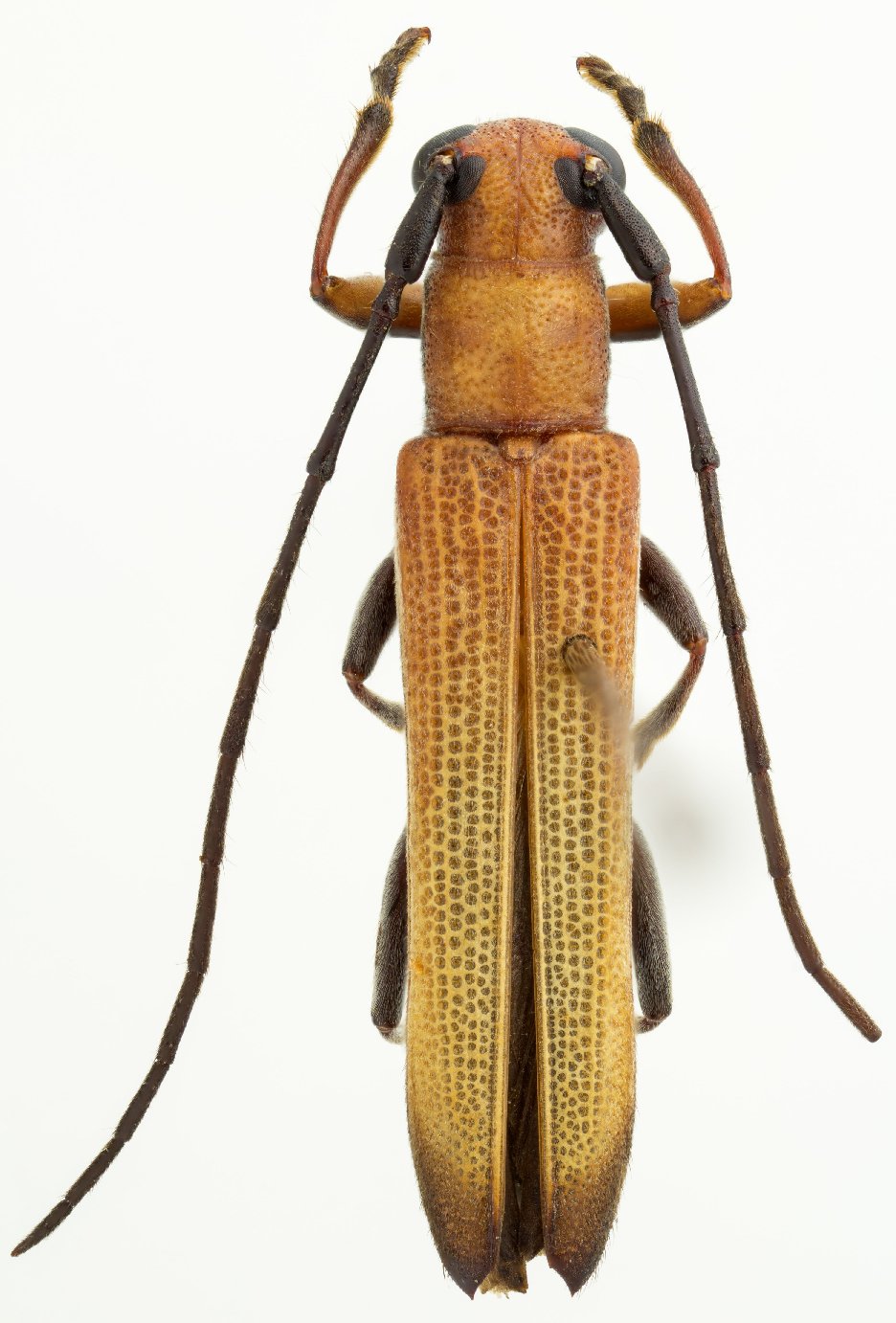
_Br_CNC_Lunda_Dundo_Angola_Lap.jpg)
Oberea obscuritarsis angolensis Breuning Specimen Type: holotype Institution: CNC Canadian National Collection of Insects, Ottawa, Ontario, Canada Photographer: Serge Laplante, photograph and data Determiner: Copyright of
Agriculture & Agri Food Canada Collection Location: Dundo, Luanda, Angola 63233
|
_Br_CNC_Lunda_Dundo_Angola_Lap.jpg)
Oberea obscuritarsis angolensis Breuning Specimen Type: holotype Institution: CNC Canadian National Collection of Insects, Ottawa, Ontario, Canada Photographer: Serge Laplante, photograph and data Determiner: Copyright of
Agriculture & Agri Food Canada Collection Location: Dundo, Luanda, Angola 63234
|
_Br_CNC_Lunda_Dundo_Angola_Lap.jpg)
Oberea obscuritarsis angolensis Breuning Specimen Type: holotype Institution: CNC Canadian National Collection of Insects, Ottawa, Ontario, Canada Photographer: Serge Laplante, photograph and data Determiner: Copyright of
Agriculture & Agri Food Canada Collection Location: Dundo, Luanda, Angola 63235
|
|