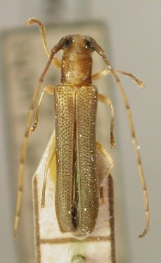
_Fisher_Indonesia_USNM.jpg)
Specimen Type: holotype Sex: m Institution: NMNH United States National Museum, Washington, DC, USA Photographer: Steve Lingafelter Collection Location: Mt Raoeng, E Java, Indonesia 54814
|
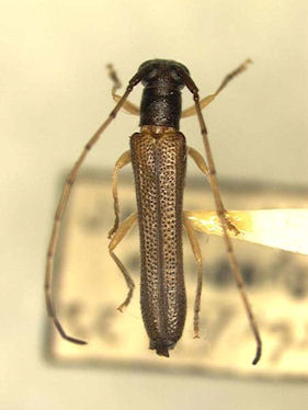
_Fisher_LIPI_Kendeng_Geb_W_Java_LGB.jpg)
Oberea luchti Fisher Specimen Type: paratype Institution: LIPI Lembaga Ilmu Pengetahuan, Bogor, Indonesia Photographer: Larry G. Bezark Collection Location: Kendeng Geb, West Java 43950
|
_Fisher_LIPI_Kendeng_Geb_W_Java_LGB.jpg)
Oberea luchti Fisher Specimen Type: paratype Institution: LIPI Lembaga Ilmu Pengetahuan, Bogor, Indonesia Photographer: Larry G. Bezark Collection Location: Kendeng Geb, West Java 43951
|

Oberea luchti Fisher Institution: LIPI Lembaga Ilmu Pengetahuan, Bogor, Indonesia Photographer: Larry G. Bezark Collection Location: Java H Lucht 43952
|

Oberea luchti Fisher Institution: LIPI Lembaga Ilmu Pengetahuan, Bogor, Indonesia Photographer: Larry G. Bezark Collection Location: Java H Lucht 43953
|
|