_Br_BPBM_Nobuo_Ohbay.jpg)
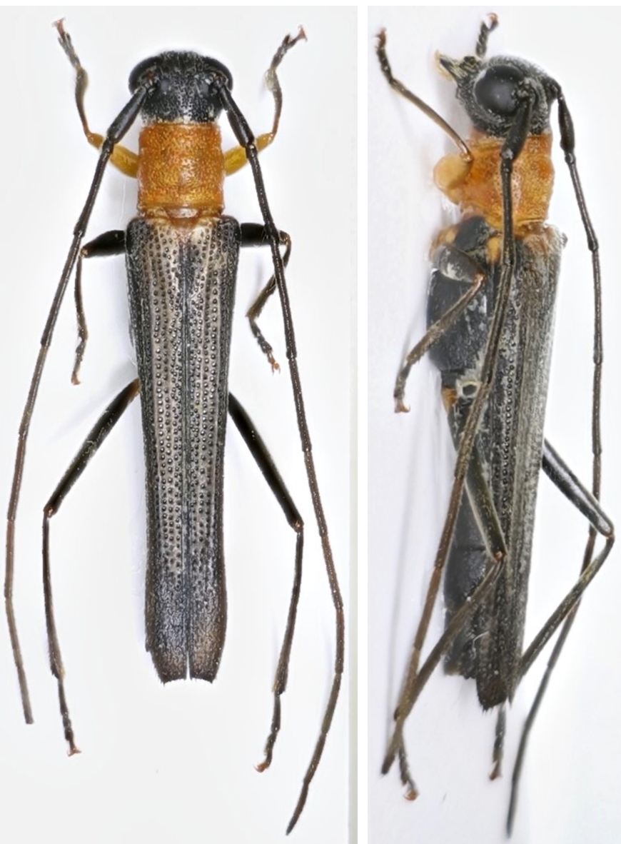
Obereopsis burnamensis partefuscipennis Breuning Specimen Type: holotype Sex: f Institution: BPBM Bernice P. Bishop Museum, Honolulu, Hawaii, USA Photographer: Nobuo Ohbayashi Collection Location: région de Ban Van Heua, Laos 44970
|

Photographer: Andre Skale, Cerambycoidea Forum Determiner: Xavier Gouverneur, Cerambycoidea Forum Collection Location: Hua Phan, NE Laos 64913
|