_Chujo_and_Villiers_Khao_Chong_Thailand.jpg)
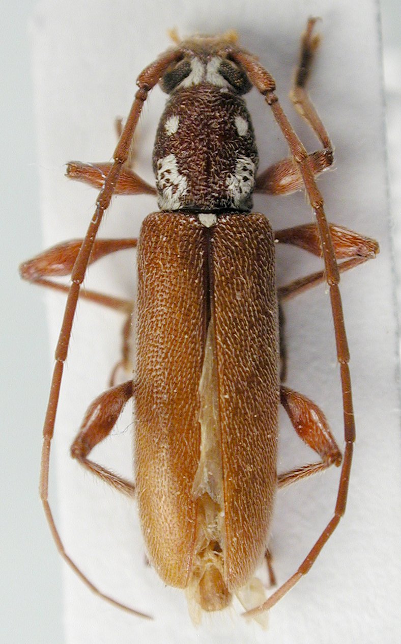
Specimen Type: holotype Institution: KUEL Kagawa University, Entomology Laboratory, Japan Collection Location: Khao Chong, Thailand 34629
|

Institution: JCPC Jim Cope Collection, San Jose, California, USA now at CSCA, Sacramento Photographer: Larry G. Bezark Determiner: Andreas Weigel Collection Location: 25 km NW Jinghong, S Yunnan Province, China 98392
|