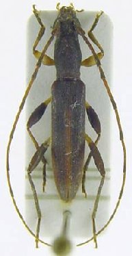
_Napp_Mart_INPA_Reserva_Ducke_Manaus_AM_Braz_Monne.jpg)
Specimen Type: holotype Sex: m Institution: INPA Instituto Nacional de Pesquisas da Amazonia, Manaus, Brazil Photographer: Monne Collection Location: Reserva Ducke, Manaus, Amazonas, Brazil 57420
|

Photographer: Jean-Louis Giuglaris Collection Location: Kaw, French Guiana 28579
|

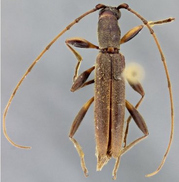
Institution: LGBC Larry G. Bezark Collection, Sacramento, California, USA Photographer: Larry G. Bezark Determiner: Martins Collection Location: Yasuni Research Station, Napo, Ecuador 24527
|

Institution: LGBC Larry G. Bezark Collection, Sacramento, California, USA Photographer: Larry G. Bezark Determiner: Martins Collection Location: Yasuni Research Station, Napo, Ecuador 24528
|

Photographer: Denis Faure Collection Location: French Guiana 21638
|
|