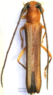
_Chev_BMNH_now_Oberea_Meiying.jpg)
Isosceles fuscipennis Chevrolat Specimen Type: holotype Sex: m Institution: BMNH British Museum Natural History, London, UK Photographer: Meiying Lin Collection Location: Shanghai, Jianghsu, China 42837
|
_Chev_BMNH_now_Oberea_Meiying.jpg)
Isosceles fuscipennis Chevrolat Specimen Type: holotype Sex: m Institution: BMNH British Museum Natural History, London, UK Photographer: Meiying Lin Collection Location: Shanghai, Jianghsu, China 42836
|
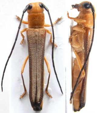
_Ba_Be.jpg)
Institution: LGBC Larry G. Bezark Collection, Sacramento, California, USA Photographer: Larry G. Bezark Collection Location: Ba Be, Bac Kan, Vietnam 41113
|
_Ba_Be.jpg)
Institution: LGBC Larry G. Bezark Collection, Sacramento, California, USA Photographer: Larry G. Bezark Collection Location: Ba Be, Bac Kan, Vietnam 41114
|
_(Chev)_Fujian_China.jpg)
Sex: m Determiner: Japanese Journal of Systematic Entomology Collection Location: Fujian, China 54777
|
_(Chev)_Fujian_China.jpg)
Sex: m Determiner: Japanese Journal of Systematic Entomology Collection Location: Fujian, China 54778
|
_CAS.jpg)
Institution: CAS California Academy of Sciences, San Francisco, CA, USA Photographer: Larry G. Bezark 54787
|
_N_Laos_Xavier.jpg)
Photographer: Xavier Gouverneur, Cerambycoidea Forum Collection Location: N Laos 54788
|
_(Chevrolat)_Vietnam_SWL_vives_coll.jpg)
Sex: m Photographer: Steve Lingafelter Collection Location: Vietnam 54789
|

Oberea holoxantha Fairmaire Institution: CAS California Academy of Sciences, San Francisco, CA, USA Photographer: Larry G. Bezark Determiner: Gressitt 54796
|

Oberea theryi Pic Institution: CAS California Academy of Sciences, San Francisco, CA, USA Photographer: Larry G. Bezark 54895
|
|