
Photographer: Meiying Lin 42958
|
_birmanica_Gahan_NW_Yunnan_China_Gorodinski.jpg)
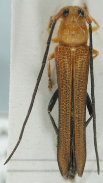
Photographer: Gorodinski Collection Location: NW Yunnan, China 54684
|

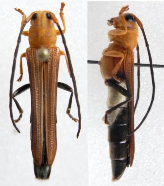
Institution: CAS California Academy of Sciences, San Francisco, CA, USA Photographer: Larry G. Bezark 54690
|

Photographer: Xavier Gouverneur, Cerambycoidea Forum Collection Location: N Laos 54691
|

Oberea lajoyei Pic Institution: CAS California Academy of Sciences, San Francisco, CA, USA Photographer: Larry G. Bezark 54808
|
|