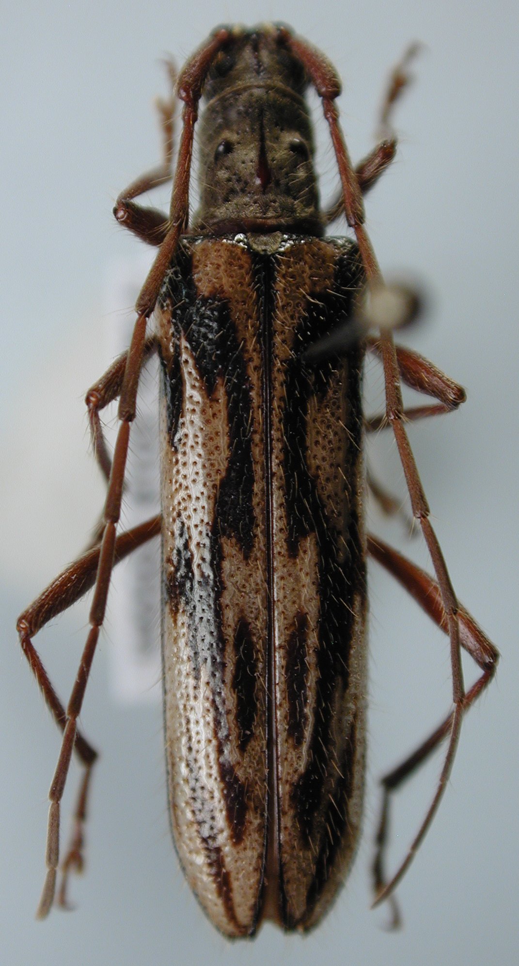
_Pascoe_BMNH_Colombia_LGB.jpg)
Specimen Type: syntype Institution: BMNH British Museum Natural History, London, UK Photographer: Larry G. Bezark Collection Location: Colombia 47027
|
_Pascoe_BMNH_Hespenheide_FTH.jpg)
Specimen Type: syntype Institution: BMNH British Museum Natural History, London, UK Photographer: Henry Hespenheide Collection Location: Colombia 17156
|

Institution: LGBC Larry G. Bezark Collection, Sacramento, California, USA Photographer: Larry G. Bezark Collection Location: Geremba, Aragua, Venezuela 20955
|
|