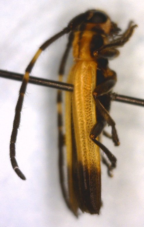
_Yaounde_Cameroon_Sudre_foum_LGB.jpg)
Photographer: Larry G. Bezark Determiner: Jerome Sudre, Cerambycoidea Forum Collection Location: Yaounde, Cameroon 54640
|
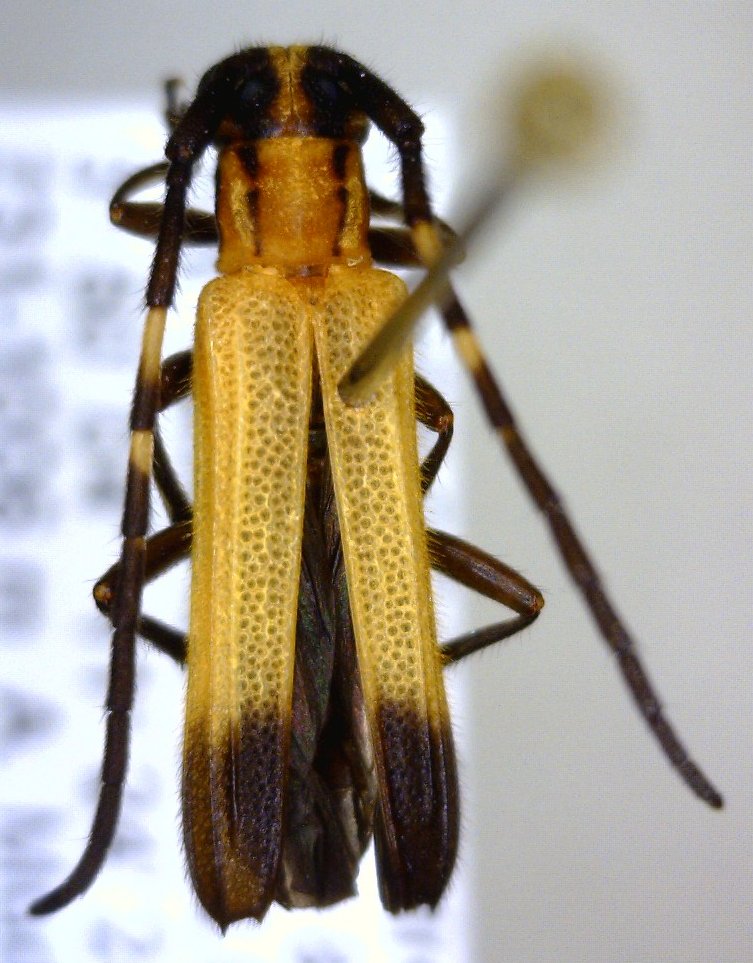
_Yaounde_Cameroon_Sudre_foum_LGB.jpg)
Photographer: Larry G. Bezark Determiner: Jerome Sudre, Cerambycoidea Forum Collection Location: Yaounde, Cameroon 54641
|
_Det_Adlbauer_CAS.jpg)
Institution: CAS California Academy of Sciences, San Francisco, CA, USA Photographer: Larry G. Bezark Determiner: Adlbauer 54642
|

Nupserha vitticollis anteflava Teocchi Determiner: Lambillionea 54643
|

Nupserha vitticollis gracilis Aurivillius Photographer: Pierre Teocchi Collection Location: Cameroon 89626
|
|