New Search Family, Subfamily and Tribe List

SubFamily Lamiinae

Tribe Saperdini
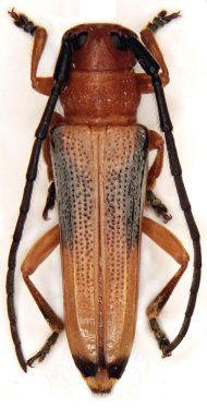
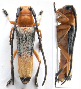
Nupserha variabilis Gahan 1894

Photographer: Meiying Lin
42955


Photographer: Xavier Gouverneur, Cerambycoidea Forum
Collection Location: N Laos
54637


Photographer: Steve Lingafelter
Collection Location: Vietnam
54638


Photographer: Meiying Lin
54639

130425