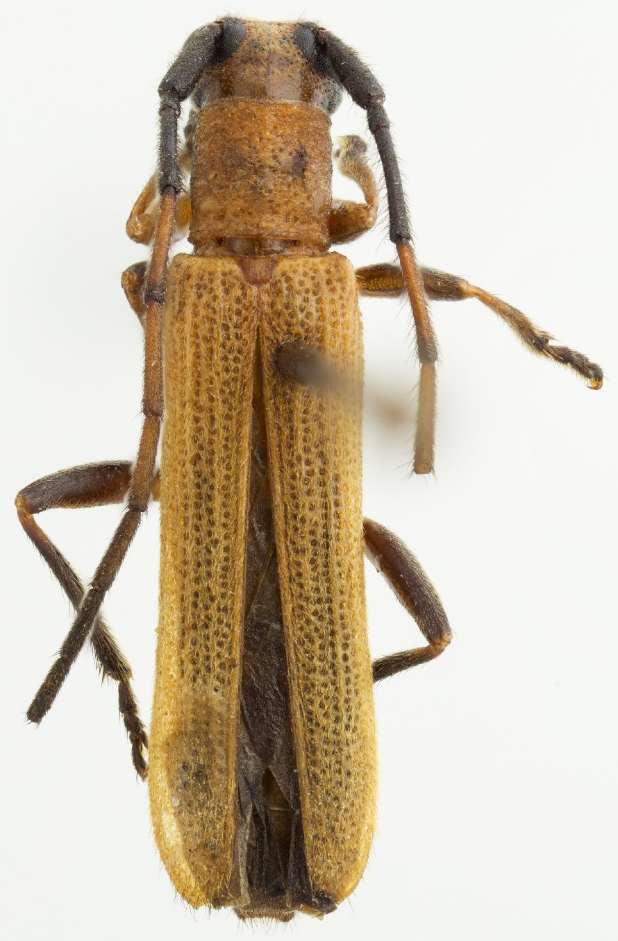
_Br_CNC_Entebbe_Uganda_Laplante.jpg)
Specimen Type: holotype Sex: f Institution: CNC Canadian National Collection of Insects, Ottawa, Ontario, Canada Photographer: Serge Laplante, photograph and data Determiner: Copyright of
Agriculture & Agri Food Canada Collection Location: Entebbe, Uganda 63218
|
_Br_CNC_Entebbe_Uganda_Laplante.jpg)
Specimen Type: holotype Sex: f Institution: CNC Canadian National Collection of Insects, Ottawa, Ontario, Canada Photographer: Serge Laplante, photograph and data Determiner: Copyright of
Agriculture & Agri Food Canada Collection Location: Entebbe, Uganda 63219
|
_Br_CNC_Entebbe_Uganda_Laplante.jpg)
Specimen Type: holotype Sex: f Institution: CNC Canadian National Collection of Insects, Ottawa, Ontario, Canada Photographer: Serge Laplante, photograph and data Determiner: Copyright of
Agriculture & Agri Food Canada Collection Location: Entebbe, Uganda 63220
|
_Br_CNC_Entebbe_Uganda_ugandensis_Laplante.jpg)
Nupserha ugandensis nigrolateralis Breuning Specimen Type: holotype Institution: CNC Canadian National Collection of Insects, Ottawa, Ontario, Canada Photographer: Serge Laplante, photograph and data Determiner: Copyright of
Agriculture & Agri Food Canada Collection Location: Entebbe, Uganda 63221
|
_Br_CNC_Entebbe_Uganda_ugandensis_Laplante.jpg)
Nupserha ugandensis nigrolateralis Breuning Specimen Type: holotype Institution: CNC Canadian National Collection of Insects, Ottawa, Ontario, Canada Photographer: Serge Laplante, photograph and data Determiner: Copyright of
Agriculture & Agri Food Canada Collection Location: Entebbe, Uganda 63222
|
_Br_CNC_Entebbe_Uganda_ugandensis_Laplante.jpg)
Nupserha ugandensis nigrolateralis Breuning Specimen Type: holotype Institution: CNC Canadian National Collection of Insects, Ottawa, Ontario, Canada Photographer: Serge Laplante, photograph and data Determiner: Copyright of
Agriculture & Agri Food Canada Collection Location: Entebbe, Uganda 63223
|
|