New Search Family, Subfamily and Tribe List

SubFamily Cerambycinae

Tribe Tropidini Compsina
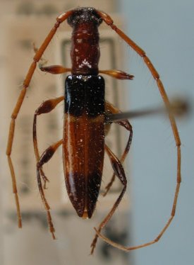
Stenoidion corallinum chapadense (Gounelle, 1909)

Institution: MNRJ Museu Nacional Universidade do Rio Janeiro, Brazil
Photographer: Larry G. Bezark
Determiner: Martins
Collection Location: Jatai, Goias, Brazil
33856

130425