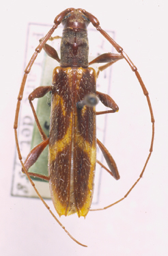
_Bates_BMNH_Volcan_Chiriqui_Panama_now_Pygmodeon_LGB.jpg)
Ibidion validicorne Bates Specimen Type: holotype Sex: m Institution: BMNH British Museum Natural History, London, UK Photographer: Larry G. Bezark Collection Location: Volcan de Chiriqui, Panama 46921
|
_(Bates)_BMNH_JAC.jpg)
Institution: BMNH British Museum Natural History, London, UK Photographer: John Chemsak 18411
|