_Bates_BMNH_Santo_Domingo_Chontales_Nic_nowPygmodeon_LGB.jpg)
Heterachthes obtusum Bates Specimen Type: holotype Sex: f Institution: BMNH British Museum Natural History, London, UK Photographer: Larry G. Bezark Collection Location: Santo Domingo, Chontales, Nicaragua 46853
|
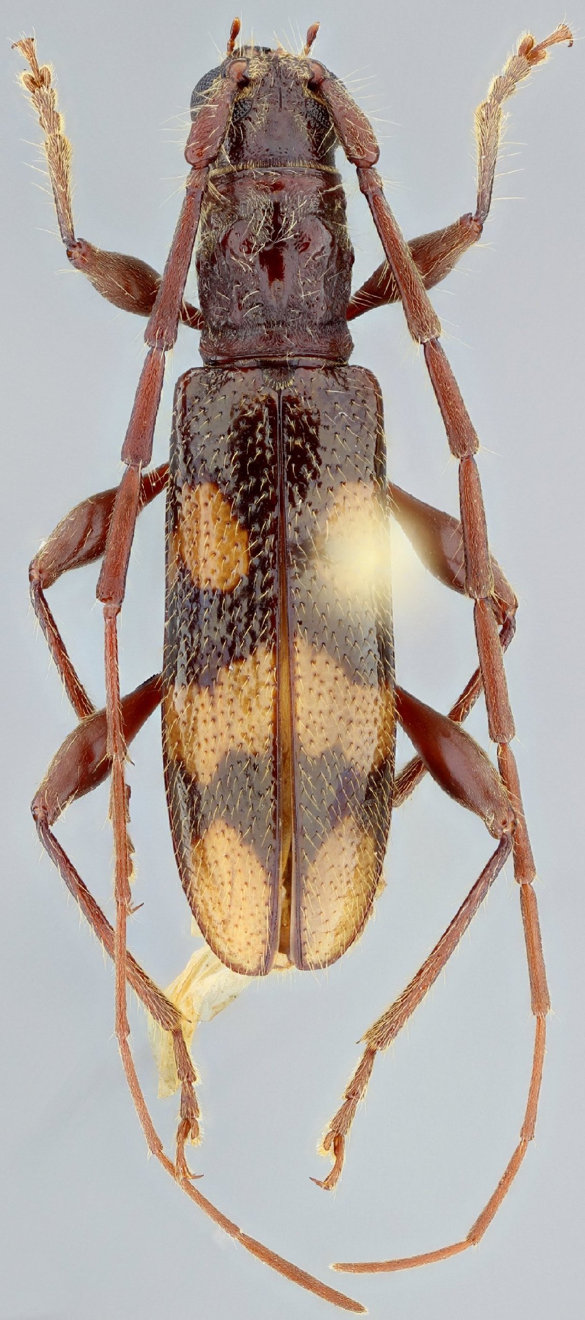
_(Bates)_MZSP_Mt_Totumas_Cloud_For_Volcan_Chiriqui_Pan_SS.jpg)
Sex: m Institution: MZSP Museu de Zoologia da Universidade de São Paulo, Brazil Photographer: Antonio Santos-Silva Collection Location: Mt Totumas Cloud Forest, Volcan, Chiriqui, Panama 69020
|