New Search Family, Subfamily and Tribe List

SubFamily Lamiinae

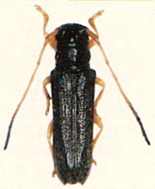
Tribe Saperdini
Nupserha flavipes Breuning 1951

Determiner: Les Cahiers Magellanes
Collection Location: Ivory Coast
54588

130425