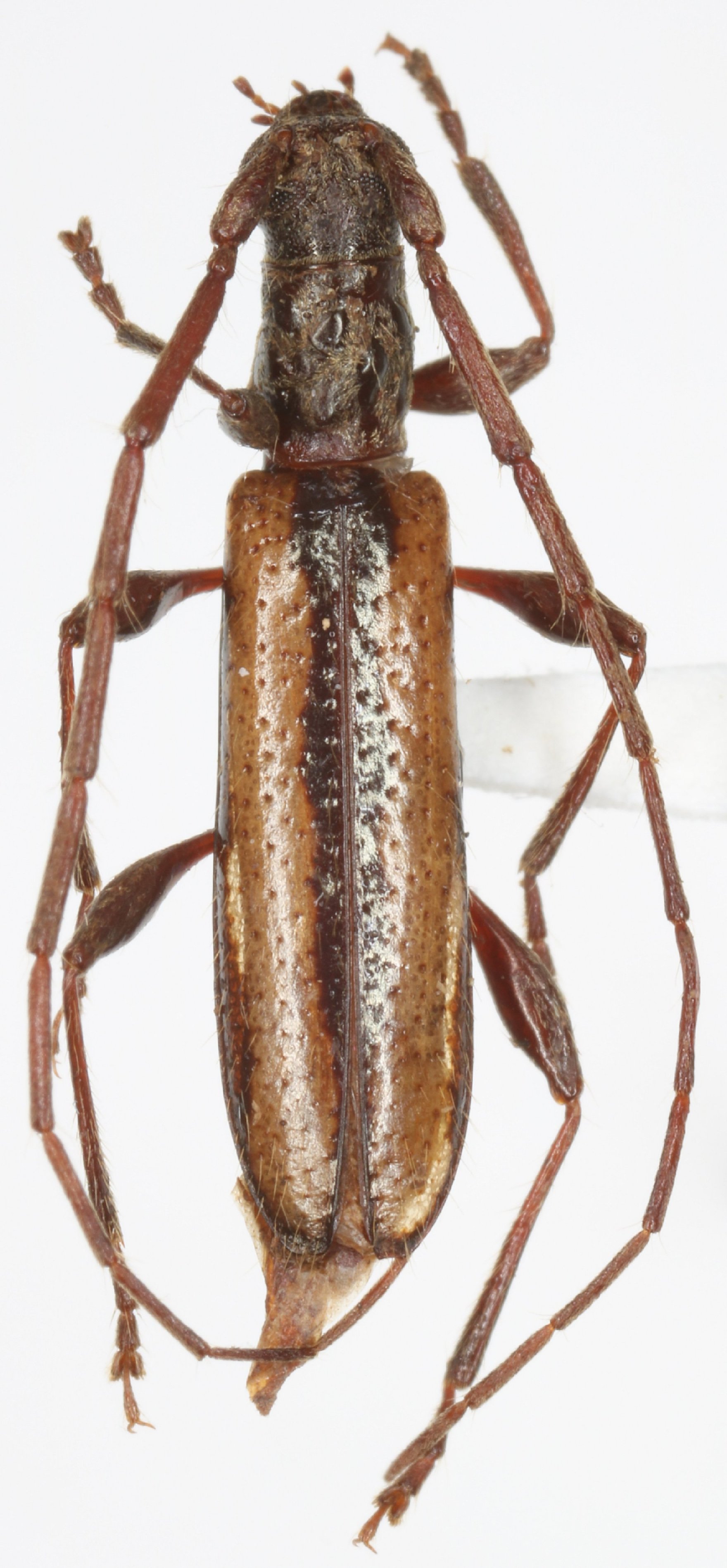
_Bates_BMNH_Chiapas_Mex_nowPygmodeon_LGB.jpg)
Ibidion latevittatum Bates Specimen Type: lectotype Sex: m Institution: BMNH British Museum Natural History, London, UK Photographer: Larry G. Bezark Collection Location: Chiapas, Mexico 46897
|
_(Bates)_JAC.jpg)
Specimen Type: paralectotype Photographer: John Chemsak 18409
|
_BCA_(as_Ibidion).jpg)
Institution: BCA Biologia Centrali Americana Collection Location: (as Ibidion) 12894
|
_La_Paz_Dept_Honduras_Heff_coll.jpg)
Institution: Heffern Collection Photographer: Brian Raber Collection Location: La Paz, Department, Honduras 74883
|
|