_Kaw_FG_JLG.jpg)
Photographer: Jean-Louis Giuglaris Collection Location: Regina, French Guiana 29244
|
_Faure_French_Guiana.jpg)
Photographer: Denis Faure Collection Location: French Guiana 23770
|
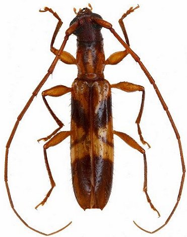
_Det_Martins_MZSP_SWL_Bolivia.jpg)
Institution: MZSP Museu de Zoologia da Universidade de São Paulo, Brazil Photographer: Steve Lingafelter Determiner: Martins Collection Location: Bolivia 12893
|
|