New Search Family, Subfamily and Tribe List

SubFamily Cerambycinae

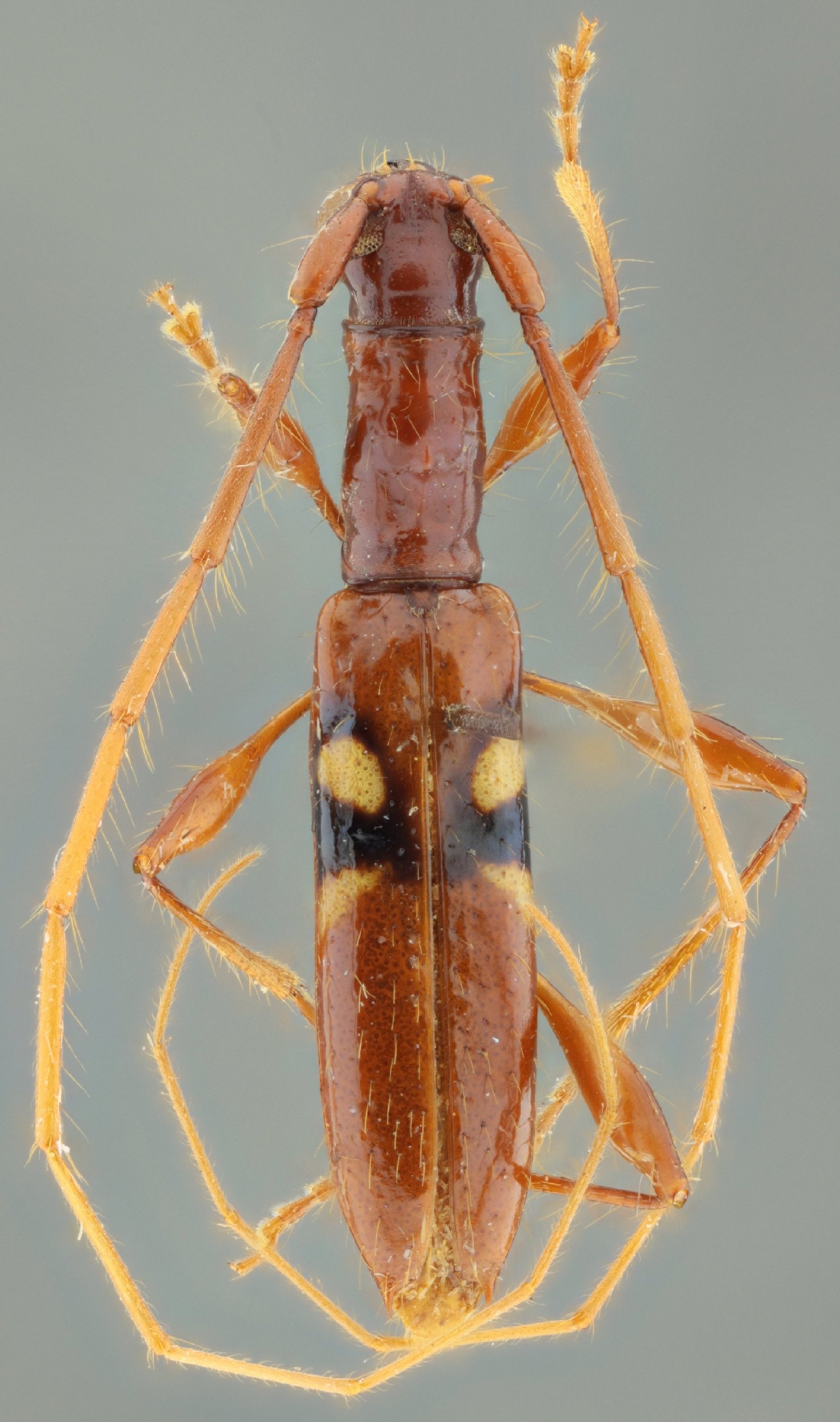
Tribe Tropidini Compsina
Pygmodeon excelsum Martins & Napp 1986

Specimen Type: holotype
Sex: m
Institution: MZSP Museu de Zoologia da Universidade de São Paulo, Brazil
Photographer: Antonio Santos-Silva
Collection Location: Turrialba, Cartago, Costa Rica
23769

130425