New Search Family, Subfamily and Tribe List

SubFamily Lamiinae

Tribe Saperdini
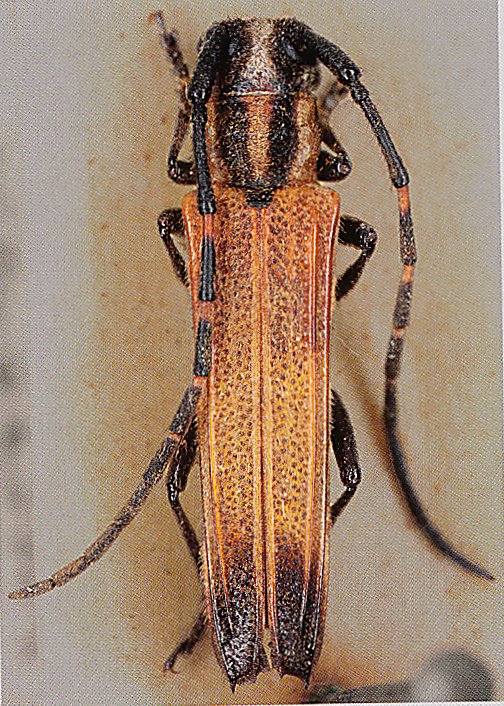
Nupserha convergens (Aurivillius, 1914)

Sex: m
Institution: BMNH British Museum Natural History, London, UK
Photographer: Karl Adlbauer
Collection Location: Ethiopia
72670


Photographer: Pierre Teocchi
Collection Location: Kigezi, Uganda
89624

130425