_Bates_BMNH_Santo_Domingo_Chontales_Nic_now_Pygmodeon_LGB.jpg)
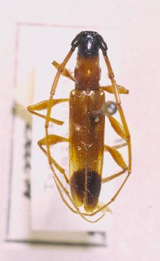
Heterachthes ditelum Bates Specimen Type: holotype Sex: m Institution: BMNH British Museum Natural History, London, UK Photographer: Larry G. Bezark Collection Location: Santo Domingo, Chontales, Nicaragua 46849
|
_Bates_BMNH_Santo_Domingo_Chontales_Nic_now_Pygmodeon_LGB.jpg)
Heterachthes ditelum Bates Specimen Type: holotype Sex: m Institution: BMNH British Museum Natural History, London, UK Photographer: Larry G. Bezark Collection Location: Santo Domingo, Chontales, Nicaragua 46850
|