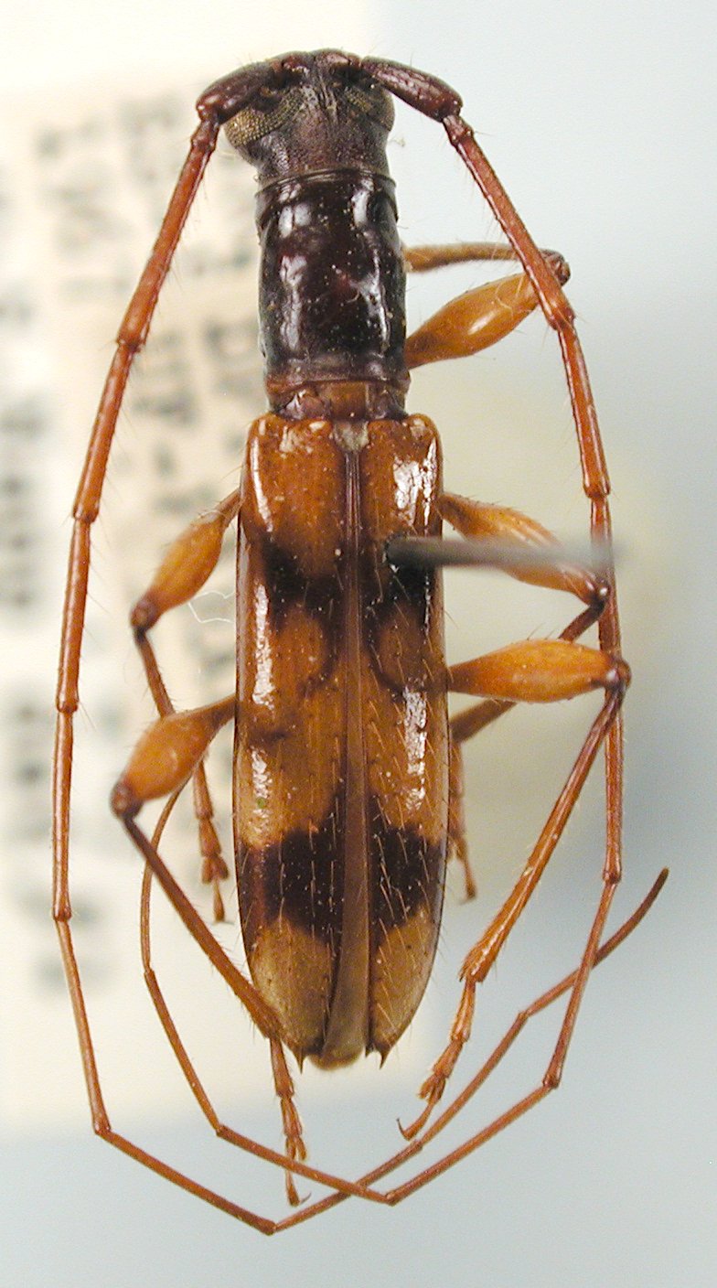
 Univ Federal, Parana, Brazil det Napp JCPC LGB.jpg)
Institution: JCPC Jim Cope Collection, San Jose, California, USA now at CSCA, Sacramento Photographer: Larry G. Bezark Determiner: Dilma Napp Collection Location: Parana, Brazil 98086
|
 Univ Federal, Parana, Brazil det Napp JCPC LGB.jpg)
Institution: JCPC Jim Cope Collection, San Jose, California, USA now at CSCA, Sacramento Photographer: Larry G. Bezark Determiner: Dilma Napp Collection Location: Parana, Brazil 98087
|
_Martins_plate_Arq_de_Zoo.jpg)
23767
|
_Det_Martins_Rio_de_Janeiro_Brazil_UCB.jpg)
Institution: UCB Essig Museum of Entomology, Berkeley, California, USA Photographer: Larry G. Bezark Determiner: Martins Collection Location: Rio de Janeiro, Brazil 12888
|
|