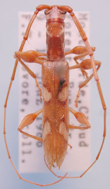
_Martins_MZSP_JAC.jpg)
Specimen Type: holotype Sex: m Institution: MZSP Museu de Zoologia da Universidade de São Paulo, Brazil Photographer: John Chemsak Collection Location: Turrialba, Cartago, Costa Rica 17505
|

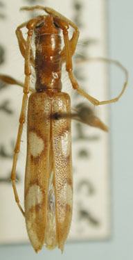
10476
|

Institution: UCB Essig Museum of Entomology, Berkeley, California, USA Photographer: Larry G. Bezark Collection Location: Monteverde, Costa Rica 10477
|
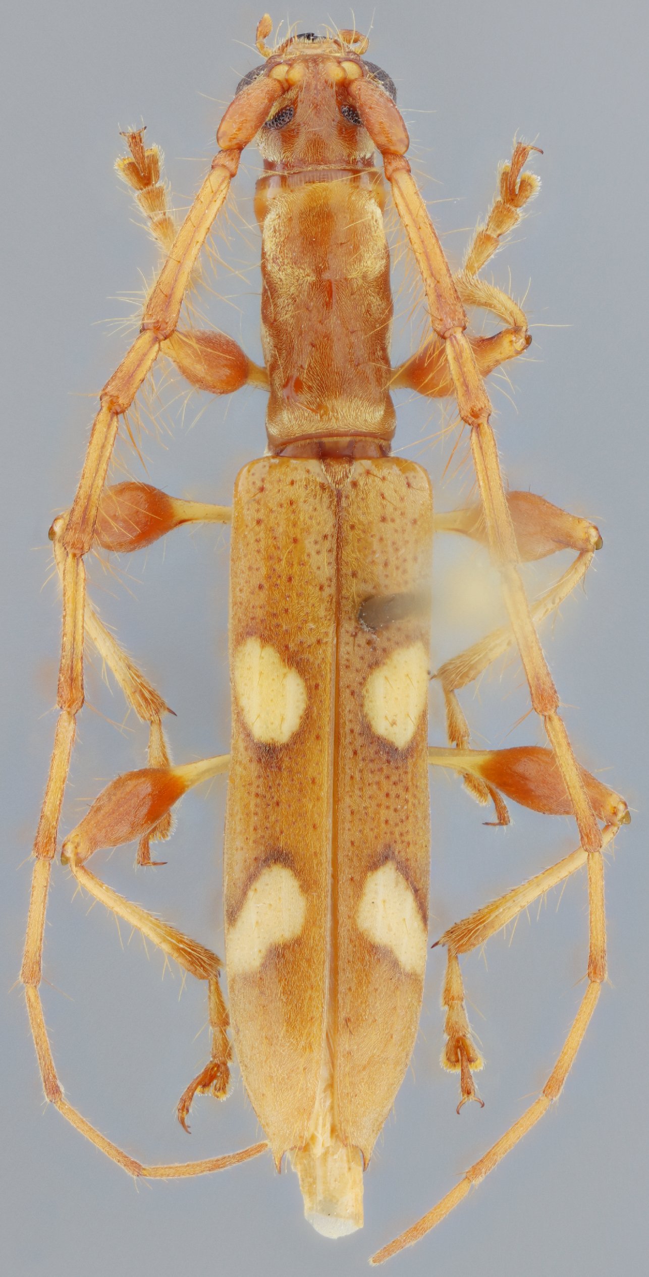
_Martins_DJH_Fortuna_Cabins_Bocas_del_Toro_Panama_SS.jpg)
Sex: f Institution: Heffern Collection Photographer: Antonio Santos-Silva Collection Location: Fortuna Cabins, Bocas del Toro, Panama 71537
|
|