_Panagitsa_Arkadia_Peloponnesia_Greece_Slutsky.jpg)
Photographer: Aleksandr Slutsky Collection Location: Panagitsa, Arkadia, Peloponnesia, Greece 75379
|
_Panagitsa_Arkadia_Peloponnesia_Greece_Slutsky.jpg)
Photographer: Aleksandr Slutsky Collection Location: Panagitsa, Arkadia, Peloponnesia, Greece 75380
|
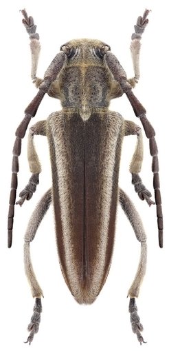
_graeca_Sturm_Greece_Gorodinski.jpg)
Photographer: Andre Gorodinski Collection Location: Greece 52045
|

Sex: mf Photographer: Navratil & Hoskovec Collection Location: vic Panagitsa, Arcadia, Peloponnesia, Greece 52053
|
_Greece_Pelopones_Kalavryta_det_Kurzawa_Kurzawa.jpg)
Photographer: Jacek Kurzawa Determiner: Kurzawa Collection Location: Kalavrita, Pelopones, Greece 52054
|
|