New Search Family, Subfamily and Tribe List

SubFamily Lamiinae

Tribe Phrynetini
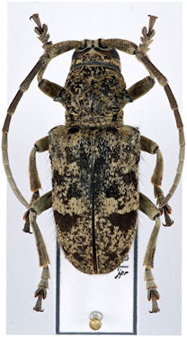
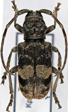
Phryneta luctuosa silacea Aurivillius 1907

Sex: f
Photographer: JP Roguet, https://lamiinae.org
Collection Location: Tokpli, Kpalime, Togo
56737


Sex: f
Photographer: JP Roguet, https://lamiinae.org
Collection Location: Banco, Ivory Coast
56738


Photographer: Pierre Teocchi
Collection Location: Missahoe Forest, Togo
89677

130425