_LeConte_MCZ_=_Neocompsa.jpg)
Compsa quadriplagiata LeConte Specimen Type: holotype Sex: f Institution: MCZ Museum of Comparative Zoology, Harvard University, Cambridge, MA, USA Photographer: P. Naskrecki, P. Perkins, and B. Farrell Collection Location: Cabo San Lucas, Baja California, Mexico 694
|
_LeConte_MCZ_=_Neocompsa.jpg)
Compsa quadriplagiata LeConte Specimen Type: holotype Sex: f Institution: MCZ Museum of Comparative Zoology, Harvard University, Cambridge, MA, USA Photographer: P. Naskrecki, P. Perkins, and B. Farrell Collection Location: Cabo San Lucas, Baja California, Mexico 697
|
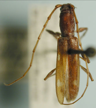
_LeConte_MCZ_=_Neocompsa.jpg)
Compsa quadriplagiata LeConte Specimen Type: holotype Sex: f Institution: MCZ Museum of Comparative Zoology, Harvard University, Cambridge, MA, USA Photographer: P. Naskrecki, P. Perkins, and B. Farrell Collection Location: Cabo San Lucas, Baja California, Mexico 695
|
_LeConte_MCZ_=_Neocompsa.jpg)
Compsa quadriplagiata LeConte Specimen Type: holotype Sex: f Institution: MCZ Museum of Comparative Zoology, Harvard University, Cambridge, MA, USA Photographer: P. Naskrecki, P. Perkins, and B. Farrell Collection Location: Cabo San Lucas, Baja California, Mexico 696
|
_LeConte_MCZ_=_Neocompsa.jpg)
Compsa quadriplagiata LeConte Specimen Type: holotype Sex: f Institution: MCZ Museum of Comparative Zoology, Harvard University, Cambridge, MA, USA Photographer: P. Naskrecki, P. Perkins, and B. Farrell Collection Location: Cabo San Lucas, Baja California, Mexico 698
|
_Fisher_USNM_=_Neocompsa_quadriplag.jpg)
Ibidion pubescens Casey Specimen Type: holotype Sex: m Institution: NMNH United States National Museum, Washington, DC, USA Photographer: Steve Lingafelter Collection Location: Brownsville, Texas 25976
|
_Bates_BMNH_Chilpancingo_Guerrero_Mex_nowNeocomp_quadriplag_LGB.jpg)
Ibidion griseolum Bates Specimen Type: lectotype Sex: m Institution: BMNH British Museum Natural History, London, UK Photographer: Larry G. Bezark Collection Location: Chilpancingo, Guerrero, Mexico 46893
|
_LGB_replacement.jpg)
Photographer: Larry G. Bezark 3456
|
_(LeC)_MZSP_Mexico_SS.jpg)
Sex: m Institution: MZSP Museu de Zoologia da Universidade de São Paulo, Brazil Photographer: Antonio Santos-Silva Collection Location: Mexico 70096
|
_(LeC)_MZSP_Mexico_SS.jpg)
Sex: m Institution: MZSP Museu de Zoologia da Universidade de São Paulo, Brazil Photographer: Antonio Santos-Silva Collection Location: Mexico 70097
|
_Det_Martins_Baja_UCB.jpg)
Institution: UCB Essig Museum of Entomology, Berkeley, California, USA Photographer: Larry G. Bezark Determiner: Martins Collection Location: Baja California, Mexico 10470
|
|